Maximize this Browser Window for a Full-Screen View



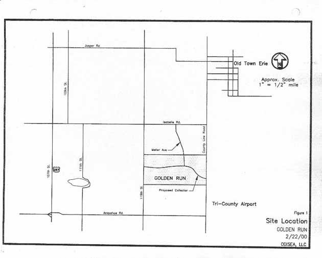
Traffic Report Figure 1